BB-One
BB-One is een lief kleiner paard wat door zijn maat leuk is voor de kleinere paardenruiters en de grotere ponyruiters. Hij is nog jong maar super betrouwbaar ook voor onze meer beginnende ruiters. Onze ervaren ruiters kunnen veel van hem leren. Naast het rijden in de bak gaat BB-One graag mee op een buitenrit.
Cassandra en Coosje
Cassandra is een lieve haflinger. Ze kan, zoals het hoort bij haflingers, een beetje lomp zijn maar altijd uit een goed hart. Ze is rustig en stabiel in het rijden en gaat graag mee op buitenrit. Voor eten doet Cassandra alles.
Maddox
Maddox is fijne pony voor de grotere kinderen in de ponylessen. Hij wil altijd voor je werken. In stal een lieve rustige pony, die graag aandacht krijgt en gepoetst wordt. Spelletjes in de lessen maken hem blij. Van springen wordt hij enthousiast, dit doet hij graag. Op een buitenrit is Maddox een van de allerfijnste om op de rijden.
Noeska
Noeska is een echte dame. Vaak heeft ze haar neus nieuwsgierig uit haar stal. Ze staat dan ook vooraan in de stallen, zodat ze alles goed in de gaten kan houden. Zij is heel veelzijdig. Springen vind ze superleuk en dan zie je haar pit. Voor onze kabouterruiters is zij lief en rustig. Ook in de dressuurbaan kun je goede sier met haar maken.
Bram, Midi, Erica, Laurey, en Ushi
Midi en Brammetje, Erica en Laurey en Ushi zijn onze sterren, die we inzetten voor onze kinderfeestjes en fanatiek mee spelletjes spelen tijdens de ponykampen en ponydagen. Ze genieten als je hen poetst en knuffelt. Zij zijn de mascottes van onze manege. Ushi verwacht dit jaar een veulentje.
Annemarie
Annemarie is een erg fijne pony. Voor de ruiters is zij rustig en braaf. Ook voor de kleinere volwassen ruiters is zij een paard met dat vertrouwen geeft. Ook een echte lieverd op buitenritten en gaat ze ook graan met de instructeurs mee voorop. In stal wil zij graag duidelijk en rustig benaderd worden en houdt ze niet van drukte, houd je hier goed rekening mee is ze een echte knuffel.
Penny’s Gem

Penny’s Gem is een mooie stevige Wesh Cob. Een lieve eigenwijze dame waar onze ruiters graag op rijden. Ze vraagt onze ruiters duidelijk en rustig met haar om te gaan, dan doet ze alles voor je. Ook Penny maak je met een buitenrit erg blij.
Denoah
Lieve knappe Denoah maakt alle ruiters op de manege blij. Denoah is een echte alleskunner. Hij heeft een goede basis in de dressuur, springt goed en gaat graag mee op de buitenritten. Hij is lief en rustig in de stal en met rijden. Denoah is een goede pony om de balans en je zit op te oefenen, hij maakt mooie grote bewegingen. Denoah is de beste vriend van Noeska, waar hij altijd mee buiten speelt.
Tony’s Pet
Tony’s Pet is een fijne pony voor alle ruiters. Ze wil altijd voor je werken. Op stal is het een lieve knuffel. Altijd goedgehumeurd. Van een buitenrit kan ze echt genieten en ook een sprongetje maken doet ze graag.
Freckles
Freckles vind het heerlijk als je hem poetst en knuffelt. Hij maakt zich dan ook graag extra vies, zodat hij extra lang gepoetst kan worden. Hij is een echte goedzak. Hij geeft zijn ruiters vertrouwen door zijn rust. Rijden in de bak, buitenrijden, springen, hij doet alles voor zijn ruiters. Zowel de beginnende als de meer ervaren ruiters kunnen fijn met hem rijden.
Gooley
Gooley is een erg lieve pony, die iedereen altijd vriendelijk in haar stal begroet . Wel houdt ze ervan als haar ruiters rustig met haar omgaan. In het rijden vraagt Gooley een ervaren ruiter die haar rustige en duidelijke hulpen kan geven. Gooley kan leuk dressuren en maakt graag een sprongetje.
Jack
Jack is wolf in schaapskleren. Superlief en braaf voor de beginnende ruiters. Ondeugend voor de ervaren ruiters. Een echte alleskunner. Hij leert kinderen goed rijden en springt als de beste. Met een buitenrit maak je hem blij.
Betty Boop
Betty Boop heeft de rust en eigenzinnigheid van een tinker, die ze is. Kinderen krijgen veel vertrouwen van haar en zitten fijn op haar. Als er eten in de buurt is, doet ze alles voor je. Het liefst gaat Betty mee op een fijne buitenrit.
Blue
Blue is knappe grote pony en een echte topper, leuk voor alle ruiters. Dressuur, springen, buitenrijden, spelen, poetsen. Hij doet het allemaal graag. Iedereen is dan ook dol op hem. Een echte lieverd in de stal die graag wat extra aandacht krijgt.
Bontje
Bontje is een lieve, knappe dame, die geniet van mooie vlechten in haar manen. In rijden kan ze alles en zit ze heel stabiel voor de ruiters. Een fijne pony dan ook om op te leren. Bontje is dat ook geliefd bij zowel de beginnende als ervaren ruiters.
Chanone
Chanone is een erg mooie actieve pony. Een lieverd, die graag voor je werkt. Van springen wordt hij soms wat te enthousiast. Hij vindt het fijn dat je hem poetst en rustig bij hem in de stal komt knuffelen. Chanone houdt van lekker galopperen door de bossen.
China Doll
China Doll doet haar naam eer aan. Een echt poppetje. Ze verwacht dat je lief en met rust met haar omgaat. Het liefst heeft China Doll de kleinste kinderen bij haar in de stal. Actief in het rijden en lief voor onze kabouterruiters . Met haar beste vriendje Romeo speelt ze graag buiten.
Daisybell
Daisybell is een lieve rustige pony in de stal die graag uitgebreid gepoetst wordt door haar ruiters. Voor de beginnende ruiters is zij een super fijne, brave pony die ook nog eens erg lekker en stabiel zit. Bij de meer ervaren ruiters kan Daisybell nog wel eens een grapje proberen uit te halen door iets te versnellen of de andere kant op te gaan dan de bedoeling is. Met de buitenritten is Daisybell een van de stabielste en rustigste pony´s. Zij heeft dan ook veel fans bij ons op de manege.
Dino
Dino is een super lieve pony. Op de manege van iedereen een favoriet. Hij is altijd vrolijk en heeft er altijd zin in. Of het nou rijden in de bak is, buitenrijden of een parcours springen is, Dino geeft altijd 110% aan zijn ruiters en zal altijd goed luisteren. Hij wordt ook graag vertroeteld en gepoetst. Naast het rijden wordt Dino ook erg gelukkig van spelen en stoeien in de paddock met zijn beste vrienden Jack en Vulcan.
Laila
Laila is een mooie grote pony die zowel voor de kinderen als de kleinere volwassenen een erg fijn paardje is om mee te rijden. In de stal vraagt zij om rust en duidelijkheid, Laila houdt ervan om te weten waar ze aan toe is. Laila doet in het rijden altijd goed haar best en is een echte alleskunner, dressuur, buitenrijden, springen kan ze allemaal even goed. Ze is rustig en stabiel en geeft je de tijd om alles te leren.
Ini
Ini heeft het karakter wat bij kleine, welsh a pony’s hoort. Superlief in de stal. Stabiel om op te zitten met een gezonde eigenwijsheid erbij. Als je haar kent, is het een echt lieve pony.
Llinos
Llinos is een leuke Welsh a pony. Wil graag voor je werken met een lichte eigenwijsheid daarbij. Op buitenrit is ze een blije gup die onderweg ook wel graag van het gras en de boompjes snoept. In de kabouterlessen hebben we haar er graag bij.
Misty
Misty is nog een jongere pony, maar doet het al super goed in de lessen. Op dit moment wordt zij nog door de meer ervaren pony ruiters gereden. Zo kan Misty rustig alles van het ponyrijden in de manege lessen leren. Misty is heel open en nieuwsgierig in de stal en is blij als ze aandacht krijgt. In het rijden is de rustig en doet ze goed haar best.
Paddy
Paddy is een lieve connemara ruin. Super lief in de stal, hij vindt het altijd fijn als je even met hem komt knuffelen of poetsen. Hij zorgt er in de paddock dan ook graag voor dat hij extra vies wordt, zodat ruiters lekker lang met hem bezig zijn. Met rijden doet hij altijd zijn uiterste best. Hij geeft alle ruiters veel vertrouwen. Paddy is een echte alleskunner die ook alles even leuk vindt. Van buitenrijden, dressuur rijden, working equitation hindernissen of springen. Hij wordt overal even enthousiast van. Paddy is voor onze grotere pony ruiters of kleinere volwassenen dan ook een echte topper.
Sky
Sky staat graag buiten met zijn vrienden in de buitenstal. Freckles is daar zijn beste vriend. Een goede poetsbeurt maakt hem blij. In het rijden een eigenwijze jongen, die als er meer van hem gevraagd wordt verwacht dat zijn ruiter de juiste hulpen geeft. Sky maakt het liefst een lekker lange bos rit, maar ook een parcours springen vindt hij leuk om te doen. Met zijn mooie kleur valt hij erg op tussen alle andere pony’s.
Slechtweervandaag
Slechtweervandaag is een erg lieve merrie. Ze kan onze ervaren ruiters veel leren in het springen en dressuur, voor onze beginnende ruiters is zij erg rustig en zit ze ook heel stabiel. Slechtweervandaag wordt erg blij als zij mee voorop mag op een buitenrit.
Stardust
Stardust is een echte schat en doet altijd haar uiterste best voor haar ruiter. Zij is erg fijn in dressuurlessen en gaat ook graag mee op een buitenrit. Op buitenrit gaat zij het liefst mee zwemmen in het water. Zeker de beginnende ruiters zitten graag op Stardust omdat ze altijd zo fijn luistert en makkelijk zit in stap, draf en galop. De beste vriendin van Stardust is Tilly, zij zijn met het buitenspelen dan ook onafscheidelijk, en lijken in uiterlijk ook nog eens best veel op elkaar.
Tilly
Onze Tilly weet waar ze wil lopen en gaat daarvoor. Degenen uit de ervaren lessen die haar weten te overtuigen hebben een top pony aan haar. Voor onze kabouters en beginners is ze superfijn en loopt ze graag. Tilly zit heel stabiel in de draf en galop. Op een buitenrit kan je geen fijnere pony wensen.
Vulcan fan Alst
Onze Vulcan is een echte schat en ook nog supermooi. Altijd goedgemutst en iedereen kan er mee overweg. Een knuffel in de stal en een topper in het rijden. Voor de kabouters en beginnende ruiters is hij super betrouwbaar en doet hij altijd goed zijn best. Als er door de ervaren ruiters meer van hem gevraagd wordt, wil hij nog wel eens zijn pit laten zien en extra laten zien wat hij kan. Vulcan is bij de F-proeven wedstrijden dan ook de grote favoriet van alle ruiters.
Yalou
Yalou is april 2023 bij ons op de manege geboren. Haar mama is ´Beertje Balou´. Yalou is een vriendelijke merrie die nu al erg van alle aandacht geniet en graag alles gaat ontdekken op de manege. De komende jaren mag Yalou nog lekker met Cassandra en haar veulen buitenspelen in de wei. Als ze straks oud genoeg is mag ze ook in de lessen op de manege mee gaan doen.
Popcorn Hidalgo
Popcorn is een lieve jonge Tinker ruin. Hij is fijn actief in het rijden en natuurlijk zoals dat bij een Tinker hoort af en toe een tikkeltje eigenwijs. Hij is stoer en niet snel van dingen onder de indruk. Voor onze kleinste ruiters heel betrouwbaar en een leuke uitdaging voor de meer ervaren ruiters. Met zijn mooie zilvere kleur met stippen is hij een leuke pony om te zien.
Houdini
Houdini is een mooie actieve Welsh pony. Hij is graag voor onze ruiters aan het werk en doet altijd goed zijn best. Hij is zit fijn stabiel en is dan ook een top pony voor onze kleinste ruiters. Springen kan hij goed en doet hij graag. Dressuurmatig is hij tot L niveau opgeleid. Voor onze kleinere ervaren ruiters een goede leerpony. Van een buitenrit maken wordt hij enthousiast.
Henk
Henk is een jonge grotere pony. Vanwege zijn leeftijd loopt hij vooral mee in de ervaren ponylessen. Hij is lief en betrouwbaar. Onze ruiters kunnen veel van hem leren, en Henk ook van onze ruiters. Henk kan leuk dressuren, kan goed springen en gaat graag mee op buitenritten. Naast het rijden is Henk graag aan het spelen en stoeien met Jack en Dino in de paddock.
Suus
Suus is een super stoere grotere pony. Suus is lief, werkt graag voor de ruiters en zit heel stabiel. Dit maakt haar voor zowel de beginnende als de ervaren ruiters een leuke pony om mee te rijden. Met het maken van een buitenrit maak je Suus het meest blij, maar ook af en toe een sprongetje doen vindt ze leuk. Als we spelletjes doen in de les wil Suus graag winnen. Suus woont op de manege tussen onze shetlanders en geitjes, hier voelt ze zich op haar best.
Aduria
Aduria is een lieve merrie, die allround inzetbaar is. Haar basis is M dressuur en het springen doet ze erg goed. Aduria is een fijn leerpaard voor alle ruiters. Ze is braaf voor de beginnende ruiters en op de buitenritten en alle oefeningen in de dressuur en springen doet ze makkelijk als deze op de juiste manier gevraagd worden. Aduria loopt met haar lease ruiter ook mee in het L-viertal kür op muziek.
Al Pacino
Al Pacino is een lief, nieuwsgierig groot paard voor onze grotere ruiters. Hij heeft iedere les weer zin om voor je te werken. Hij houdt van mensen, aandacht en een poetsbeurt. Al Pacino is een leuke uitdaging om mee te rijden in de bak, is braaf op de buitenritten en is voor de ervaren springruiter een leuk paard om een sprong mee te maken.
Beertje Balou
Beertje Balou is een echte merrie. Lief op stal, met de verwachting dat je haar met rust en respect behandeld. Doe je dit niet, kan ze mopperen.
Zij geniet van onze buitenritten en is zowel voor beginner als meer gevorderde ruiters een fijn paard. Met het springen kan ze erg enthousiast worden. Afgelopen jaar heeft ze een veulen, Yalou, gekregen.
Biolga
Biolga is een lieve merrie. Ze is de beste vriendin van Daffia. Biolga werkt graag en is in het rijden dan ook actief maar super betrouwbaar. Ze zit makkelijk en is door haar maatje fijn voor onze grotere pony ruiters maar ook voor de volwassenen. Biolga is heel fijn in de dressuurlessen, op buitenritten en de zitlessen aan de longeerlijn.
Browny
Browny is een echte vriendelijke grote jongen. Hij houdt van aandacht, uitgebreide poetsbeurten en lekker kriebelen bij zijn oren. In het rijden is het een echte topper voor iedereen. Hij zal altijd doen wat de ruiter van hem vraagt. De dressuur oefeningen kent hij tot Z niveau, hij zal in het springen nooit weigeren en hij gaat graag mee op een buitenrit. Met de beginnende ruiters heeft hij veel geduld en zet hij altijd zijn beste hoefje voor.
Castor
Castor is een grote, vriendelijke reus maar kan ook wel een echt mannetje zijn. Hij staat open in het leven, vindt alles interessant en wil erbij zijn. Hij vraagt zowel op stal als in het rijden een ruiter die de leiding neemt en hem lekker bezig houdt anders is hij snel afgeleid. Castor kent de oefeningen tot en met het M dressuur, een fijn paard dus voor de meer ervaren ruiter.
Cupido Z
Cupido is een groot lief paard, een echte blije gup. Cupido houdt ervan om met zijn vrienden te ravotten in de paddocks. Hij wordt op stal graag gekriebeld in zijn manen en uitgebreid gepoetst. Cupido weet dat hij groot is, met het omdoen van het hoofdstel maakt hij hier graag gebruik van als hij nog lekker aan het eten is. Met het rijden is hij rustig en betrouwbaar. Hij maakt met zijn lange benen grote bewegingen, dit maakt hem een goed paard om je balans op te oefenen. Cupido kent de basis van de dressuur op L-niveau, hij gaat graag mee op een buitenrit zowel voorop als in de groep en hij maakt graag een sprongetje. Cupido is met zijn grote lijf soms een beetje lomp, maar hij bedoelt het allemaal goed.
Daffia
Daffia is een lieve grote merrie. Ze is een fijn paard ook voor onze grotere ruiters. Daffia is lief en rustig op stal en is altijd blij met aandacht. Met rijden is zij stabiel en betrouwbaar voor onze beginnende ruiters. De ervaren ruiters laat Daffia graag eerst even hard werken, daarna doet ze alles voor je. Met buitenritten is ze een echte topper. Daffia is in de paddock altijd te vinden bij haar beste vriendinnetje Biolga.
Elton
Elton heeft in zijn leven al veel meegemaakt. Hij heeft dan ook echt moeten wennen aan tussen andere paarden zijn en bij mensen zijn. Dat doet hij nu supergoed. Hij heeft al echt een maatje aan Boris als hij buitenstaat. In stal moet je de tijd nemen en hem rustig benaderen. hij wordt graag op de poetsplaats gepoetst en gezadeld, mensen in zijn stal vindt hij minder prettig. In het rijden is hij rustig, hij vindt het wel fijn als zijn ruiter de handen rustig houdt. Elton is in de dressuur tot L-niveau opgeleid, maakt graag een buitenrit en wordt enthousiast als hij mee mag doen in de springlessen.
First Impression
First Impression is een paard dat op Z niveau opgeleid is. Hij loopt mee in ons Z viertal Kür op muziek. Ook een parcours springen is voor First Impression geen enkel probleem, en vindt hij fantastisch om te doen. In de lessen is hij voor de ervaren ruiters erg leuk. Je kunt veel leren van hem. In de stal is First een echt knuffel paard, dat graag lang gepoetst en gekriebeld wordt, hij doet in de paddock dan ook graag extra moeite om zich lekker vies te maken.
Foramé
Forame is lieve ruin. Hij staat altijd klaar om ruiters te leren paardrijden.
Hij is opgeleid op dressuurniveau L2. Stabiel en rustig wat rust geeft in het paardrijden.
Op stal ook een lief paard. Hij vind het grappig zijn hoofd hoog te houden als je het hoofdstel aandoet. Hij kijkt je dan met twinkelende ogen aan.
Gruhling
Gruhling is een lieve, sensibele merrie. Ze is een zacht en vriendelijk paard dat graag lekker gepoetst wordt en aandacht krijgt. In het rijden vraagt ze een ruiter die haar goed begeleid en haar zelfvertrouwen geeft. Kan je dit als ruiter, dan doet ze alles voor je, en ze zit ook nog eens heerlijk. Springen kan ze als de beste, ze zal dan ook nooit een hindernis weigeren. Buitenritten doet Gruhling graag, maar wel in de groep veilig achter een ander paard aan. Een super fijn paard om veel op te leren voor de ervaren ruiters.
Harley
Harley is een lief en rustig paard waar iedere ruiter blij van wordt. In de stal kan hij soms een beetje grumpie kijken, maar hier bedoelt hij eigenlijk niets mee. Hij houdt van rust in zijn stal en niet teveel gedoe om hem heen. In het rijden super betrouwbaar. Hij is tot M niveau dressuur opgeleid, springt erg goed en gaat graag mee op buitenritten waar hij stabiel en rustig is. Harley loopt ook mee in het L-viertal kür op muziek. Een lieve, knappe grote jongen.
Holbe
Holbe is een super mooie Friese hengst. Een echte knuffelkont die houdt van uren poetsen, vlechten en knuffelen. Hij is lief en betrouwbaar in de lessen, maar doet het wel graag rustig aan op zijn eigen tempo. Van buitentritten wordt hij het gelukkigst.
Legend
Legend is een grote lieve reus, het grootste paard van de manege. Legend zit erg vlak en stabiel, waardoor je tijdens het rijden eigenlijk niet merkt dat hij zo groot is. Legend is een echt dressuur paard, met hindernissen hoef je bij hem niet aan te komen, daar snapt hij niets van. Wel gaat hij graag mee op een buitenrit, stoer is hij niet, hij loopt graag achter de andere paarden aan. Hij is een echte lieverd in het rijden en kent alle dressuur oefeningen tot Z niveau. Hij vraagt wel een ruiter die rustig is in de handen om deze oefeningen ook te kunnen rijden.
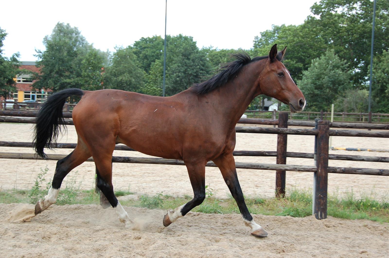
Quintin
Quintin is een lief en rustig paard die iedere ruiter vertrouwen geeft. Hij is tot M niveau in de dressuur opgeleid, maakt graag een sprongetje en is super betrouwbaar op een buitenrit. Kortom een paard waar iedereen blij van wordt om mee te rijden. In de stal is hij altijd vriendelijk en geduldig, hij kan genieten van een lange poetsbeurt.
Wonderboy
Wonderboy is een energieke, vrolijke en lieve jongen. Hij kent de dressuur oefeningen op M niveau en maakt graag een buitenrit. Vanwege de energie van Wonderboy is hij een paard voor de meer ervaren ruiters. Hij is met lichte hulpen fijn te rijden. Wonderboy is een echte knuffel op stal en is overal graag bij. Een eerlijk en fijn paard die onze ervaren ruiters veel kan leren.